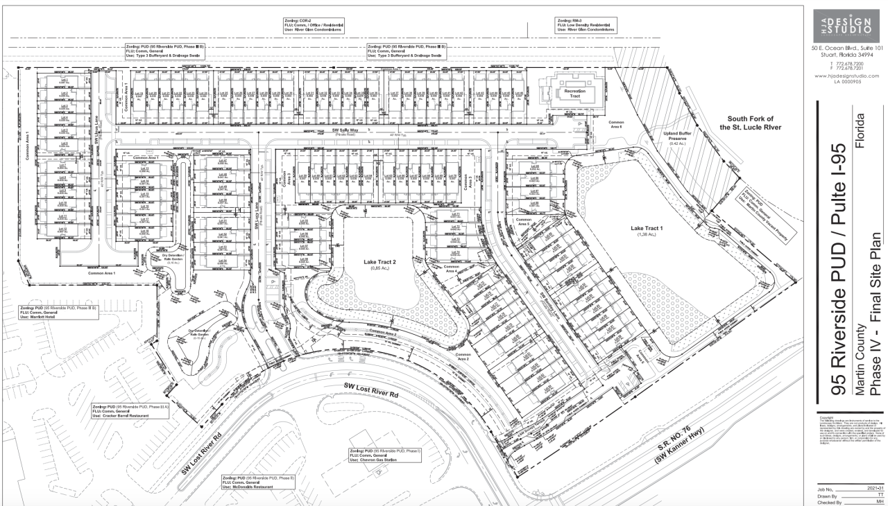
STUART, Fla. — A new 98-unit townhouse development has been approved by Martin County commissioners, but some residents are not happy about it.
State and county records show the applicant is Atlanta-based Pulte Home Company. Emails, which WPTV received, show neighbors complained to commissioners about potential problems with density and traffic.
"I have serious concerns about the safety of our current residents due to the apparent increase in vehicular traffic and accidents at the intersection of SW Lost River Road and Kanner Hwy," Tom Conners wrote to the county administrator and county commissions in an email. "The existing businesses and prior residential approvals have already caused a drastic increase in traffic flow along SW Lost River Road."
The current site has some development, according to city staff, but the area is mostly trees. It is currently zoned to include commercial areas.
Michael Houston, who is the president of HJA Design Studio and representing the applicant, said it's been trying to develop the property for almost two years.
He also said the applicant could use the Live Local Act, also known as SB 102, which could force county staff to approve the plan without getting approval.
"I believe this is a potential site for Senate Bill 102," Houston said. "That's not a threat. I didn't bring it up."

Houston, during Tuesday's meeting, said they could use the law to add 188 units into the area potentially.
"That's just kind of back in the envelope numbers right now," he said.
Susan O'Rourke, who is the president of O'Rourke Engineering and Planning, did the traffic study, including morning and night, for the proposal.
John Kazanjian, who is the president of the Lost River Plantation's Homeowners Association, said he doesn't think the traffic study is accurate. He thinks each townhouse will have a car, which will add to an already existing problem.

"It's going to be bad," Kazanjian said. "It's going to be backed up."
He said he believed more people would have spoken at the meeting if it wasn't held on a weekday morning.
Brian Taylor, who is the president of Tidewater Pointe Homeowners Association, wrote in an email to commissioners Monday night that he also had concerns about traffic.
"Traffic at the intersection of SW Lost River Road and Kanner Highway is heavy to extreme at best," Taylor wrote. "Accidents occur on a seemingly daily basis, with many of them serious."
Houston said the traffic would be worse if the land remained zoned as "general commercial."
"If it's commercial and you're worried about traffic, you should be more concerned about what traffic is going to be more intense and throughout the day," Taylor said.